31/10/2025  |  19:51
                    El sello de Trump en el intervencionismo en América Latina
                
                    
                    31/10/2025  |  10:48
                    La operación policial más letal de Brasil es politizada a un año de las elecciones
                
                    
                    31/10/2025  |  09:33
                    Maduro, Ortega y Milei, en la lista de "depredadores" de la prensa de 2025
                
                    
                    30/10/2025  |  19:39
                    Petro enfrentaría su primera restricción tras ser incluido en la Lista Clinton: no puede recibir su sueldo
                
                    
                    29/10/2025  |  18:11
                    Un decreto de la dictadura y la masacre en una prisión: el germen del sangriento Comando Vermhelo
                
                    
                    29/10/2025  |  14:04
                    Uno de los detenidos por el robo en el Louvre no fue consciente de la gravedad del caso, dice su abogada
                
                    
                    29/10/2025  |  11:49
                    El dilema energético de Irán: mantener subsidios insostenibles o arriesgarse a protestas
                
                    
                    29/10/2025  |  10:22
                    Aumentan a 124 los muertos tras el megaoperativo en favelas de Río de Janeiro
                
                    
                    28/10/2025  |  16:59
                    EEUU bombardea otras cuatro embarcaciones en el Pacífico supuestamente cargadas con droga; deja 14 muertos
                
                    
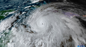
                    28/10/2025  |  10:06
                    El huracán Melissa, de categoría 5, azota Jamaica con vientos y lluvias devastadores
                
                    
                    27/10/2025  |  21:37
                    El mercado de valores de Argentina recibió con euforia el triunfo de Milei; logró su mejor rueda en 30 años