Melissa se aproxima a la costa occidental de Jamaica con vientos sostenidos de 280 kilómetros por hora, lluvias torrenciales y marejada
Brújula Digital|28|10|25|
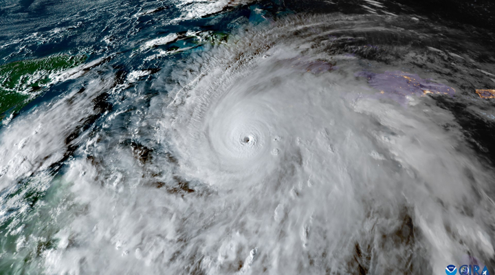
Los efectos del huracán Melissa, de categoría 5 (la más alta), golpean ya Jamaica con vientos catastróficos y lluvias torrenciales y se prevé que tocará tierra en esta isla las "próximas horas" manteniendo su intensidad extrema, informó este martes el Centro Nacional de Huracanes (NHC) de Estados Unidos.
Melissa se aproxima a la costa occidental de Jamaica con vientos sostenidos de 280 kilómetros por hora, lluvias torrenciales y marejadas que amenazan con provocar inundaciones y daños catastróficos, detalló.
El organismo meteorológico advirtió de que Melissa tocará tierra en las próximas horas y mantendrá su intensidad extrema antes de cruzar el sureste de Cuba el miércoles y llegar a las Bahamas el jueves.
Las estaciones meteorológicas de Kingston y Montego Bay ya registran vientos sostenidos superiores a 60 kilómetros por hora y ráfagas de hasta 93 kilómetros por hora, mientras un avión "Cazahuracanes" de la Fuerza Aérea de Estados Unidos se dirige al área para evaluar los daños y confirmar la intensidad del fenómeno.
A las 8:00 hora local de Miami (misma hora en Bolivia), sede del NHC, el centro del ciclón se encontraba a 90 kilómetros al sur-sureste de Negril, en el extremo occidental de la isla, desplazándose hacia el nornoreste a 11 kilómetros por hora.
Las autoridades jamaicanas instaron a la población a permanecer en refugios seguros, ante la inminencia de vientos devastadores que podrían causar "fallos estructurales totales", especialmente en zonas montañosas donde las ráfagas pueden ser hasta un 30% más fuertes.
Melissa ha generado lluvias acumuladas de entre 3,8 y 7,6 metros sobre la isla, con máximos de hasta 10 metros, lo que provocará inundaciones repentinas y deslizamientos de tierra generalizados, según el NHC.

Imagen de una casa dañada por el huracán Melissa en Portmore (Jamaica). Foto: EFE

Fotografía de la playa pesquera de Port Henderson este lunes en Jamaica. Foto:EFE
Alerta en otros países
El NHC mantiene alertas de huracán para toda Jamaica, las provincias orientales de Cuba -Granma, Santiago de Cuba, Guantánamo y Holguín-, así como para las Bahamas centrales y del sureste. Haití, Las Tunas (Cuba) y las islas Turcos y Caicos permanecen bajo aviso de tormenta tropical.
En el este de Cuba se esperan acumulaciones de hasta 6,3 metros, con riesgo de deslizamientos e inundaciones "potencialmente catastróficas", mientras que en el sureste de Bahamas y en Turcos y Caicos se prevén entre 1,2 y 2,5 metros de lluvia entre hoy y mañana.
El ciclón también provocará una marejada ciclónica de entre 2,7 metros y 4 metros sobre el nivel del suelo en la costa sur de Jamaica, acompañada de olas grandes y destructivas, y de entre 2,10 y 3,35 metros en el sureste de Cuba.
El NHC advirtió además de que el fuerte oleaje generado por Melissa afectará durante varios días a Haití, Jamaica, Cuba, las Islas Caimán, las Bahamas, Turcos y Caicos y Bermudas, generando condiciones peligrosas en el mar y corrientes de resaca.
BD/